Mazhar Botanic Garden

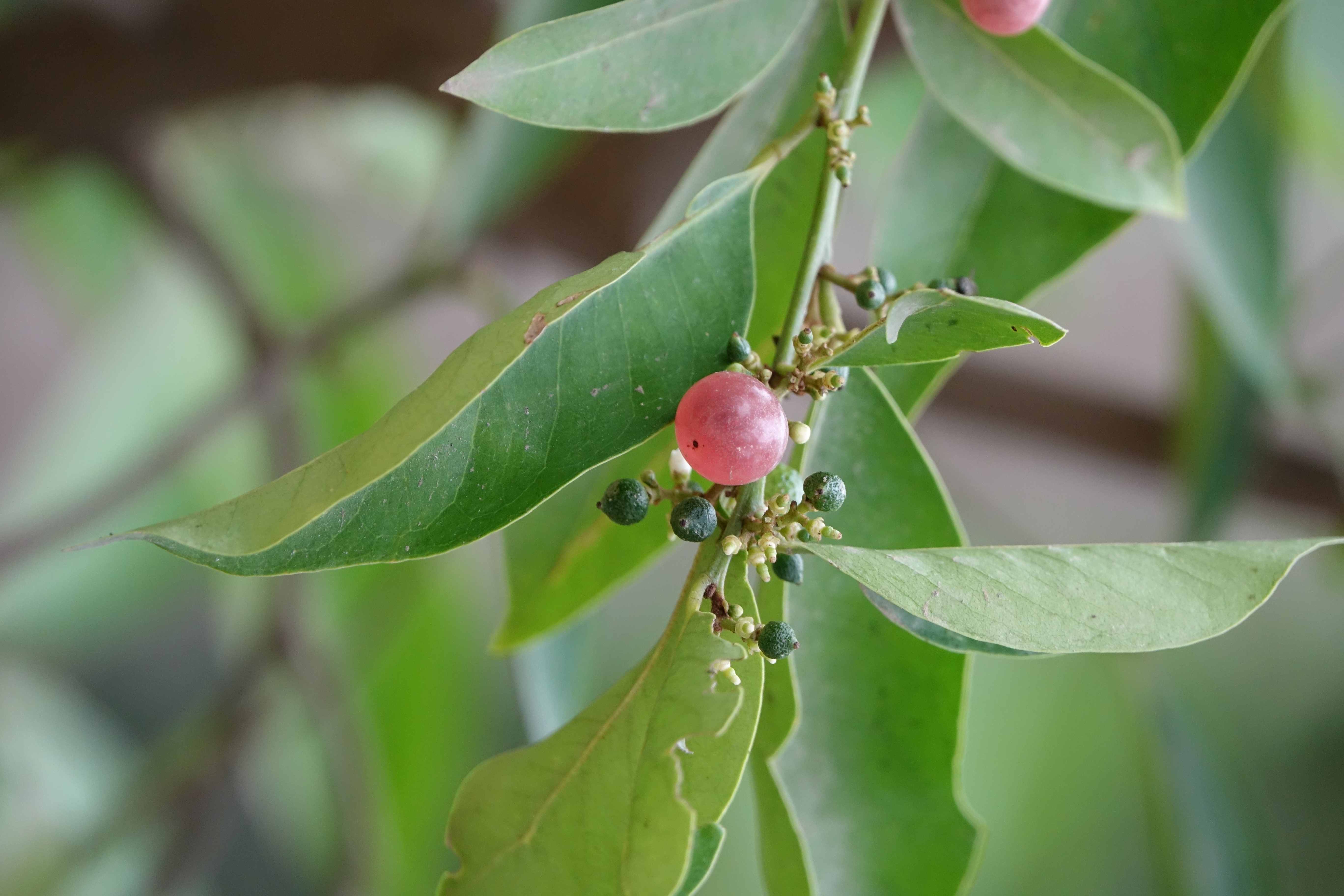
Glycosmis pentaphylla (Retz.) DC.

Orangeberry Gin berry

Sample code: EGY-MBG-000640
English name: Orangeberry, Gin berry
Arabic name: جليكوسميز
Native: Southeast Asia, northern Australia
Country: Southeast Asia
(PGR): Rare

Evergreen shrub up to 1 m tall, leaves imparipinnately compound, leaflets 7-15 long and 25 cm wide, elliptic to lanceolate flowers small, white in panicles in leaf axils fruits berry, round, pulpy

ornamental plant. edible fruit. orange berry had anticancer, antimutagenic, antibacterial and wound healing properties .

Limonia pentaphylla Retz

.
Texture: Clay Loam Sandy
Fertility: Intermediate
Drainage: Well drained
Salinity: Intermediated
Water Sources: Moderate Water
Climates: Subtropics
Lights: Full sun Light shade
Propagation: Seeds
Flowering time: All year
Zone: 10 : 11
pH range: 5.5- 7.5
Status: Cultivated
Life span: Perennial
Habits: Shrub
Sample Type: Introduced - cultivated
Collecting Sources: Botanical garden
Plant Uses: Fruits Medicinal Ornamental
Plant Populations density: Rare
Vegetation types: Evergreen shrub
pH: Acid Mild alkaline Neutral
Located in: Fruits garden

The information in this website has been compiled from reliable sources, such as reference works on medicinal plants. It is not a substitute for medical advice or treatment and Mazhar Botanic Garden does not purport to provide any medical advice. Readers should always consult his/her physician before using or consuming a plant for medicinal purposes.