Mazhar Botanic Garden

Ficus hispida L.f.

Opposite Leaf Fig Hairy Fig

Family: Moraceae
Genus: Ficus
Species: hispida
Sample code: EGY-MBG-000393
English name: Opposite Leaf Fig, Hairy Fig
Arabic name: فيكس هسبيدا
Native: East Asia and Australia
Country: Australia
(PGR): Common

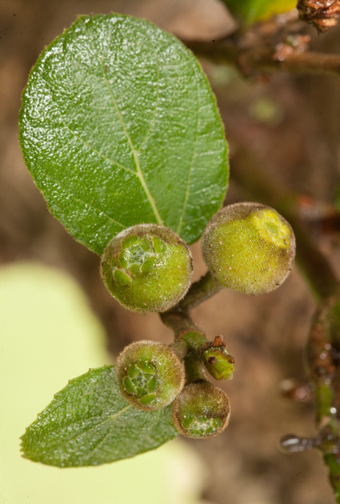
Evergreen tree to 15 m tall branches are covered in brownish to whitish hairs leaves are mostly oppositely or sub-oppositely arranged, and can be spirally arranged They are oblong to elliptic Figs can occurs axillary or in bunches on slender shoots coming from the tree trunk, Fig is almost round (15 – 25 cm diameter) and turns from green to yellow as it ripens

•Ornamental plant. The tree is sometimes harvested from the wild for use as a food and medicine. A fiber obtained from the inner bark is used for cordage.

Ficus oppositifolia Roxb

.
Texture: Clay Loam Sandy
Water Sources: Moderate Water
Lights: Sun Exposure
Propagation: Seeds, cuttings
Flowering time: Spring

The information in this website has been compiled from reliable sources, such as reference works on medicinal plants. It is not a substitute for medical advice or treatment and Mazhar Botanic Garden does not purport to provide any medical advice. Readers should always consult his/her physician before using or consuming a plant for medicinal purposes.